病理学/非毒性甲状腺肿
非毒性甲状腺肿(nontoxic goiter)亦称单纯性甲状腺肿,是由于甲状腺素分泌不足,促使TSH分泌增多引起的甲状腺肿大。根据地理分布可分为地方性(endemic)和散发性(sporadic)两种。地方性甲状腺肿以远离海岸的内陆山区和半山区多见,人群中约有10%以上的人患有该病,其发病人数是散发性的10倍以上。
祖国医学称甲状腺肿为瘿,隋朝名医巢元方很早就指出瘿瘤的发生与水质有关,晋代(公元3~4世经)就已经使用含碘高的海藻浸酒治疗,在欧洲到1170年才使用海藻灰疗法。
【病因和发病机制】
地方性甲状腺肿的主要病因是缺碘,由于饮水及土壤中缺碘,人体碘摄入不足,导致甲状腺素的合成减少,出现轻度的甲状腺功能低下,通过反馈机制使垂体TSH分泌增多,使甲状腺滤泡上皮细胞增生肥大,因而甲状腺肿大,同时摄取碘的功能增强,提高甲状腺合成分泌甲状腺素的能力,使血中甲状腺素恢复到正常水平,这时增生的上皮逐渐复旧到正常。如果长期持续缺碘,一方面滤泡上皮持续增生,另一方面所合成的甲状腺球蛋白不能充分碘化,不能被上皮细胞吸收利用,从而堆积在滤泡内,使滤泡腔显著扩大,这样使甲状腺进一步肿大。
机体对碘或甲状腺素需求量的增加(例如青春期、妊娠期、授乳期),使机体内甲状腺素相对缺乏,也可招致甲状腺肿。此外有些物质可使甲状腺素合成过程的某个环节发生障碍,也是引起甲状腺肿的附加因素。如长期摄入大量钙,不仅影响碘在肠的吸收,还能使滤泡上皮的细胞膜钙离子增加,抑制甲状腺素的分泌。氟、硼、硅也有类似作用。某些食品如卷心菜、甘蓝、芹菜中含有硫氰酸盐或有机氯酸盐,能够妨碍碘向甲状腺集聚,硫脲能影响一碘酪氨酸向二碘酪氨酸转化,磺胺类药能妨碍酪氨酸的缩合等。
散发性甲状腺肿在女性显著多于男性,其病因不太清楚,除上述因素外,有的与遗传因素有关。
【病变】
按其发展过程,分为3个时期。
1.增生期甲状腺呈弥漫性肿大,表面光滑。镜下滤泡上皮增生肥大,呈立方形或柱状,保持小滤泡新生,胶质含量少,间质充血。甲状腺功能无明显变化。此期可称为弥漫性增生性甲状腺肿。
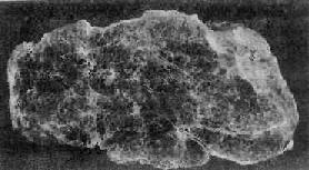
2.胶质贮积期长期缺碘使滤泡上皮反复增生、复旧,少数滤泡上皮仍呈现增生肥大,保持小型滤泡增生状态,但大部份滤泡显著扩大,内积多量浓厚的胶质,上皮细胞受压变扁平(图15-4)。肉眼见甲状腺弥漫肿大,可达200~300g(正常20~40g),表面光滑,无结节形成,质地较软,切面呈淡褐色,半透明胶冻状(图15-5)。此期可称为弥漫性胶样甲状腺肿(diffuse colloid goiter)。
图15-4 地方性甲状腺肿
甲状腺滤泡显著扩大,腔内充满均匀的胶质,上皮细胞变扁平
图15-5 弥漫性地方性甲状腺肿 (大体切面)
3.结节期随着病程的发展,由于甲状腺内不同部分滤泡上皮增生与复旧变化不一致,乃形成不规则的结节。镜下与上一期基本相同,只是有的滤泡过度扩大,直径可达300~400μm以上,使滤泡大小差别更大,有的地方亦有滤泡上皮增生,有的增生呈乳头状,可发生癌变。肉眼观甲状腺更加肿大,有许多结节,数量及大小不一,大者直径可达数厘米,结节境界清楚,但无包膜或包膜不完整(图15-6),这是和腺瘤明显不同之处。常发生出血坏死及囊性变,出血和坏死灶可被机化而导致纤维化。
图15-6 结节性地方性甲状腺肿 (大体切面)
